|
|
17日至21日我国将有寒潮和雨雪冰冻过程 陕晋豫鲁鄂湘皖有暴雪 黄淮江淮江南有强降温 中央气象台 · 公众号 · · 3 天前 · |
|
|
这一年,我们经历的阴晴冷暖丨2025天气关键词 中央气象台 · 公众号 · · 2 周前 · |
|
|
冷空气伴我们跨年!12月30日至2026年1月2日强冷空气将影响中东部 中央气象台 · 公众号 · · 3 周前 · |
|
|
10日至13日寒潮将影响我国大部地区 华北黄淮将出现入冬以来最强雨雪过程 中央气象台 · 公众号 · · 1 月前 · |
|
|
寒潮来袭长江以北气温将大幅下降 防寒保暖很关键 中央气象台 · 公众号 · · 1 月前 · |
|
|
11月余下时间冷空气活动频繁 记得关注天气变化 中央气象台 · 公众号 · · 1 月前 · |
|
|
寒潮天气来袭 中东部地区大风降温显著 中央气象台 · 公众号 · · 2 月前 · |
|
|
12日台风“凤凰”将登陆台湾岛 中央气象台 · 公众号 · · 2 月前 · |
|
|
未来一周较强冷空气将影响我国 华西黄淮持续连阴雨 中央气象台 · 公众号 · · 3 月前 · |
|
|
未来10天北方部分地区及四川盆地降雨偏多 谨防连阴雨和暴雨次生灾害 中央气象台 · 公众号 · · 3 月前 · |
|
|
台风“麦德姆”将于5日在广东电白到海南万宁一带沿海登陆 琼粤桂滇警惕强风雨影响 中央气象台 · 公众号 · · 3 月前 · |
|
|
四川重庆陕西河南等地有强降雨 假日后期将有热带系统影响华南南部 中央气象台 · 公众号 · · 3 月前 · |
|
|
国庆中秋假期华西至黄淮多降雨 5日至6日将有台风影响华南 中央气象台 · 公众号 · · 3 月前 · |
|
|
“博罗依”将于28日白天掠过海南岛以南海面 27日至30日华南沿海及南海海域将有强风雨 中央气象台 · 公众号 · · 3 月前 · |
|
|
台风“桦加沙”将登陆粤西沿海 需警惕风雨潮叠加影响 中央气象台 · 公众号 · · 3 月前 · |
|
|
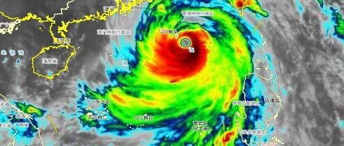
今年最强台风来袭 “桦加沙”将给南海及华南带来强风暴雨 中央气象台 · 公众号 · · 3 月前 · |
|
|
今年第17号台风“米娜” 生成 19日下午至晚上登陆广东沿海 广东有强风雨天气 中央气象台 · 公众号 · · 4 月前 · |
|
|
未来一周 受冷空气影响华西至黄淮等地将有两次降雨过程 中央气象台 · 公众号 · · 4 月前 · |
|
|
西北地区东南部至黄淮等地将有强降雨 中央气象台 · 公众号 · · 4 月前 · |
|
|
南海热带低压将加强为今年第16号台风 华南及云贵等地有强风雨 川渝陕苏皖有强降雨 中央气象台 · 公众号 · · 4 月前 · |