|
|
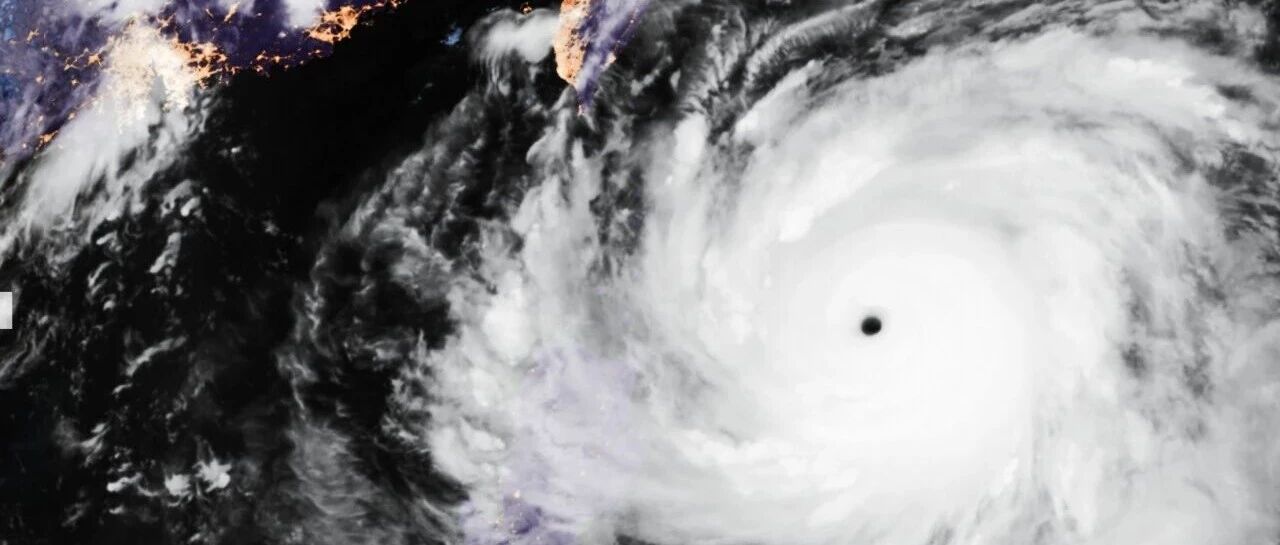
强台风来了:麦德姆将巅峰登陆广东西部,南方多地将迎史上最热中秋 中国气象爱好者 · 公众号 · 科学 · 1 月前 · |
|
|
中秋台风酝酿:台风博罗依导致龙卷风爆发,台风麦德姆或中秋前靠近我国 中国气象爱好者 · 公众号 · 科学 · 1 月前 · |
|
|
新台风来了:台风博罗依对准华南,长假后期或有更新台风形成 中国气象爱好者 · 公众号 · 科学 · 2 月前 · |
|
|
· 公众号 · 科学 · 2 月前 · |
|
|
风王闯入南海:南方多省即将急转狂风暴雨,桦加沙会成广东最强台风吗 中国气象爱好者 · 公众号 · 科学 · 2 月前 · |
|
|
· 公众号 · 科学 · 2 月前 · |
|
|
今年最危险台风来了:超强台风桦加沙锁定华南,是否超山竹有三大关键因素 中国气象爱好者 · 公众号 · 科学 · 2 月前 · |
|
|
超强台风酝酿:台风米娜将提前登陆广东,桦加沙浣熊争夺年度风王 中国气象爱好者 · 公众号 · 科学 · 2 月前 · |
|
|
特大暴雨来了:川陕辽鲁等省暴雨破纪录,台风米娜将生成对准广东 中国气象爱好者 · 公众号 · 科学 · 2 月前 · |
|
|
北斗+探空:气象观测领域的技术革新与上海实践 中国气象爱好者 · 公众号 · 科学 · 2 月前 · |
|
|
秋台风来了:下半年最强冷空气将南下,连环台风酝酿已瞄准华南 中国气象爱好者 · 公众号 · 科学 · 2 月前 · |
|
|
台风和暴雨酝酿:大范围高温正卷土重来,新台风形势有很大分歧 中国气象爱好者 · 公众号 · 科学 · 2 月前 · |
|
|
特大暴雨启动:台风塔巴登陆广东深入华南,全国高温中心即将大幅降温 中国气象爱好者 · 公众号 · 科学 · 2 月前 · |
|
|
特大暴雨来了:台风塔巴生成并将登陆我国,华东高温破纪录华西秋雨继续 中国气象爱好者 · 公众号 · 科学 · 2 月前 · |
|
|
凶狠秋老虎来了:上海等高温破纪录随后冰雹,大范围高温雷暴雨将启动 中国气象爱好者 · 公众号 · 科学 · 2 月前 · |
|
|
大暴雨来了:台风蓝湖或生成并靠近我国,大范围高温现拉锯转移迹象 中国气象爱好者 · 公众号 · 科学 · 2 月前 · |
|
|
危险大暴雨来了:台风冰雹雷暴难解南方高温,北方新一轮危险暴雨将启动 中国气象爱好者 · 公众号 · 科学 · 3 月前 · |
|
|
汛期出游 需关注这些安全风险隐患! 中国气象爱好者 · 公众号 · 科学 · 3 月前 · |
|
|
强台风来了:台风剑鱼将严重影响华南,多省将迎来最晚40度高温 中国气象爱好者 · 公众号 · 科学 · 3 月前 · |
|
|
破纪录高温来了:台风玲玲突袭日本无法降温,台风剑鱼将生成并靠近我国 中国气象爱好者 · 公众号 · 科学 · 3 月前 · |