|
|
41度来了:大范围高温启动,北方人要去广东避暑吗 中国气象爱好者 · 公众号 · 科学 · 20 小时前 · |
|
|
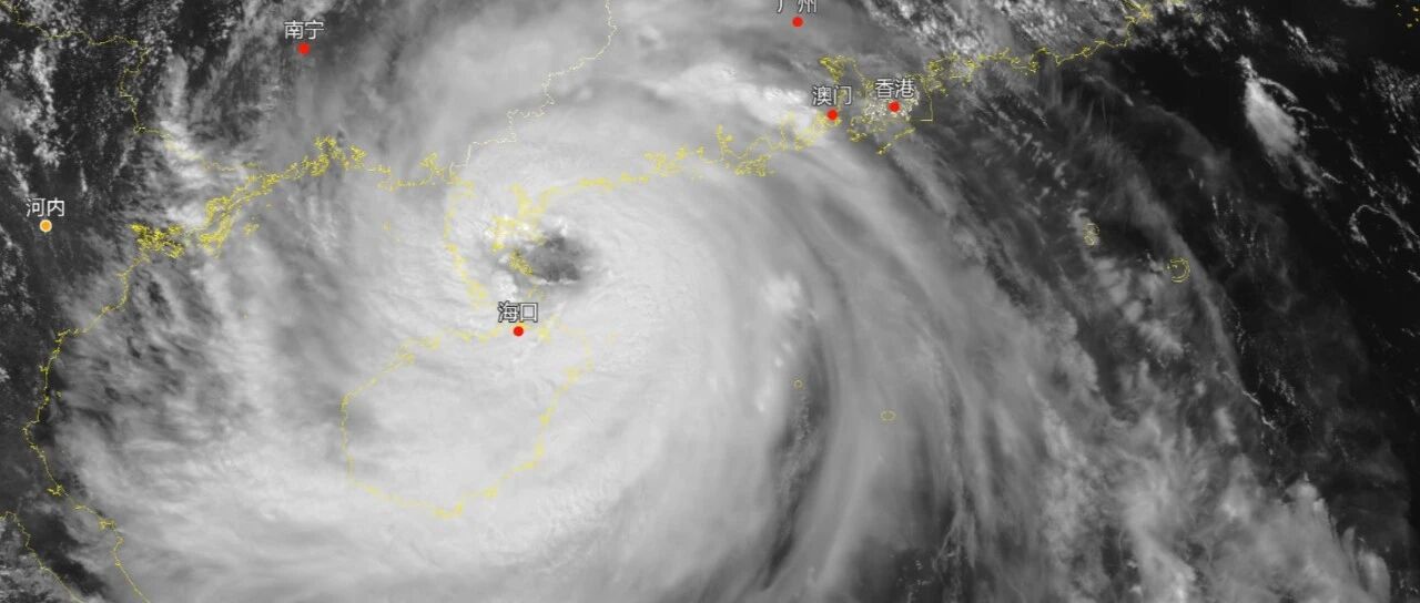
暴雨冰雹来了:大范围风雨将暂逼退炎热,五号台风黑格比生成 中国气象爱好者 · 公众号 · 科学 · 3 天前 · |
|
|
夏天来了:大范围高温开始演习,5号台风黑格比将生成 中国气象爱好者 · 公众号 · 科学 · 4 天前 · |
|
|
注意防寒:江浙沪将比东北还冷,南方散装特大暴雨开始 中国气象爱好者 · 公众号 · 科学 · 1 周前 · |
|
|
特大暴雨来了:两广需警惕极端暴雨风险,江浙沪等将寒潮级降温 中国气象爱好者 · 公众号 · 科学 · 1 周前 · |
|
|
冰雹来了:大范围雨雪降温确定,五一假期南方有暴雨 中国气象爱好者 · 公众号 · 科学 · 2 周前 · |
|
|
大暴雨南下:广东将成为全国暴雨中心,大回暖启动多地闪回30度 中国气象爱好者 · 公众号 · 科学 · 2 周前 · |
|
|
倒春寒来了:寒潮暴雪袭击北方多地,南方警惕特大暴雨低温 中国气象爱好者 · 公众号 · 科学 · 2 周前 · |
|
|
· 公众号 · 科学 · 2 周前 · |
|
|
坏降温来了:雨带将重回华南40度暂停,大范围连阴雨要卷土重来 中国气象爱好者 · 公众号 · 科学 · 3 周前 · |
|
|
巨灾预定:超强台风森拉克成为四月风王,美国多岛设施或遭摧毁性破坏 中国气象爱好者 · 公众号 · 科学 · 3 周前 · |
|
|
巨型台风出现:四号台风森拉克生成并将爆发,我国高温暴雨将发生如下变化 中国气象爱好者 · 公众号 · 科学 · 4 周前 · |
|
|
武汉大暴雨破纪录,今年的大暴雨为什么这么早 中国气象爱好者 · 公众号 · 科学 · 4 周前 · |
|
|
大暴雨来了:狂风暴雨将袭江南多省,华南桑拿酷热又要加强 中国气象爱好者 · 公众号 · 科学 · 1 月前 · |
|
|
41度高温来了:今年高温已破纪录还要扩大,暴雨北上四号台风即将生成 中国气象爱好者 · 公众号 · 科学 · 1 月前 · |
|
|
清明大暴雨来了:狂风暴雨沙尘暴雪将席卷多省,40度酷热高温将在清明后扩大 中国气象爱好者 · 公众号 · 科学 · 1 月前 · |
|
|
堪比台风:为什么广东多地风力12级,四月还有猛烈狂风暴雨吗 中国气象爱好者 · 公众号 · 科学 · 1 月前 · |
|
|
狂风暴雨冰雹来了:多轮大范围雨雪酝酿,广东等还是暴雨中心 中国气象爱好者 · 公众号 · 科学 · 1 月前 · |
|
|
夏天提前来了:华南云南开始稳定炎热,南方暴雨即将裂变加强 中国气象爱好者 · 公众号 · 科学 · 1 月前 · |
|
|
中东风暴来了:罕见沙漠暴雨将袭中东多国,美国局部短期突升49度 中国气象爱好者 · 公众号 · 科学 · 1 月前 · |